
1 / 6

Layout / Project
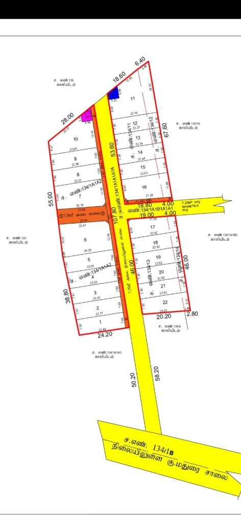
DTCP அனுமதி பெற்ற குடியிருப்பு மனைகள், கும்பிடுமதுரை ரோடு, கீழக்கரை

கும்பிடுமதுரை ரோடு, கீழக்கரை
₹55,027,600
ஐந்து கோடி ஐம்பது லட்சம் இருபது ஏழு ஆயிரம் ஆறு நூறு ரூபாய்
Project Information
DTCP Approval
DTCP அங்கீகாரம்
DTCP/2024/0000
Total Plots
மொத்த மனைகள்
22
Status
நிலை
Ongoing
Plot Summary
Totalமொத்தம்
22
Availableகிடைக்கும்
20
Bookedமுன்பதிவு
0
Soldவிற்பனை
2
Plot Calculator
Tap available plots to calculate total
P1
24.25 Kol
✓
P2
24.84 Kol
✓
P3
25.25 Kol
✓
P4
25.94 Kol
✓
P5
26.13 Kol
✓
P6
51.09 Kol
✓
P7
39.86 Kol
✓
P8
24.95 Kol
✓
P9
24.68 Kol
✓
P10
38.03 Kol
✓
P11
55.61 Kol
✓
P12
23.08 Kol
✓
P13
23.18 Kol
✓
P14
23.27 Kol
✓
P15
23.37 Kol
✓
P16
35.07 Kol
✗
P17
27.72 Kol
✗
P18
23.82 Kol
✓
P19
23.82 Kol
✓
P20
23.82 Kol
✓
P21
23.82 Kol
✓
P22
26.74 Kol
✓
Selected Plots
Plot Details
Plot P1
🟢
Area
24.25 Kol
Rate
₹0/Kol
Total
₹2,061,250
Plot P2
🟢
Area
24.84 Kol
Rate
₹0/Kol
Total
₹2,111,400
Plot P3
🟢
Area
25.25 Kol
Rate
₹0/Kol
Total
₹2,146,250
Plot P4
🟢
Area
25.94 Kol
Rate
₹0/Kol
Total
₹2,204,900
Plot P5
🟢
Area
26.13 Kol
Rate
₹0/Kol
Total
₹2,221,050
Plot P6
🟢
Area
51.09 Kol
Rate
₹0/Kol
Total
₹4,598,100
Plot P7
🟢
Area
39.86 Kol
Rate
₹0/Kol
Total
₹3,587,400
Plot P8
🟢
Area
24.95 Kol
Rate
₹0/Kol
Total
₹2,120,750
Plot P9
🟢
Area
24.68 Kol
Rate
₹0/Kol
Total
₹2,097,800
Plot P10
🟢
Area
38.03 Kol
Rate
₹0/Kol
Total
₹3,232,550
Plot P11
🟢
Area
55.61 Kol
Rate
₹0/Kol
Total
₹4,726,850
Plot P12
🟢
Area
23.08 Kol
Rate
₹0/Kol
Total
₹1,961,800
Plot P13
🟢
Area
23.18 Kol
Rate
₹0/Kol
Total
₹1,970,300
Plot P14
🟢
Area
23.27 Kol
Rate
₹0/Kol
Total
₹1,977,950
Plot P15
🟢
Area
23.37 Kol
Rate
₹0/Kol
Total
₹1,986,450
Plot P16
🔴
Area
35.07 Kol
Rate
₹0/Kol
Total
₹3,156,300
Plot P17
🔴
Area
27.72 Kol
Rate
₹0/Kol
Total
₹2,494,800
Plot P18
🟢
Area
23.82 Kol
Rate
₹0/Kol
Total
₹2,024,700
Plot P19
🟢
Area
23.82 Kol
Rate
₹0/Kol
Total
₹2,024,700
Plot P20
🟢
Area
23.82 Kol
Rate
₹0/Kol
Total
₹2,024,700
Plot P21
🟢
Area
23.82 Kol
Rate
₹0/Kol
Total
₹2,024,700
Plot P22
🟢
Area
26.74 Kol
Rate
₹0/Kol
Total
₹2,272,900
| Plotமனை | Areaபரப்பு | Rateவிலை | Totalமொத்தம் | Facingதிசை | Statusநிலை |
|---|---|---|---|---|---|
| P1 | 24.25 Kol | ₹0 | ₹2,061,250 | - | 🟢 |
| P2 | 24.84 Kol | ₹0 | ₹2,111,400 | - | 🟢 |
| P3 | 25.25 Kol | ₹0 | ₹2,146,250 | - | 🟢 |
| P4 | 25.94 Kol | ₹0 | ₹2,204,900 | - | 🟢 |
| P5 | 26.13 Kol | ₹0 | ₹2,221,050 | - | 🟢 |
| P6 | 51.09 Kol | ₹0 | ₹4,598,100 | - | 🟢 |
| P7 | 39.86 Kol | ₹0 | ₹3,587,400 | - | 🟢 |
| P8 | 24.95 Kol | ₹0 | ₹2,120,750 | - | 🟢 |
| P9 | 24.68 Kol | ₹0 | ₹2,097,800 | - | 🟢 |
| P10 | 38.03 Kol | ₹0 | ₹3,232,550 | - | 🟢 |
| P11 | 55.61 Kol | ₹0 | ₹4,726,850 | - | 🟢 |
| P12 | 23.08 Kol | ₹0 | ₹1,961,800 | - | 🟢 |
| P13 | 23.18 Kol | ₹0 | ₹1,970,300 | - | 🟢 |
| P14 | 23.27 Kol | ₹0 | ₹1,977,950 | - | 🟢 |
| P15 | 23.37 Kol | ₹0 | ₹1,986,450 | - | 🟢 |
| P16 | 35.07 Kol | ₹0 | ₹3,156,300 | - | 🔴 |
| P17 | 27.72 Kol | ₹0 | ₹2,494,800 | - | 🔴 |
| P18 | 23.82 Kol | ₹0 | ₹2,024,700 | - | 🟢 |
| P19 | 23.82 Kol | ₹0 | ₹2,024,700 | - | 🟢 |
| P20 | 23.82 Kol | ₹0 | ₹2,024,700 | - | 🟢 |
| P21 | 23.82 Kol | ₹0 | ₹2,024,700 | - | 🟢 |
| P22 | 26.74 Kol | ₹0 | ₹2,272,900 | - | 🟢 |
Description
- DTCP APPROVED
- வகை: வீட்டு மனை / குடியிருப்பு நிலம்
- உரிமை: தெளிவான ஆவணங்கள்
- தண்ணீர் & மின்சாரம்: அருகிலே உள்ளது
- அருகிலுள்ள வசதிகள்: பள்ளி மற்றும் கல்லூரி வளாகங்கள் அருகிலுள்ளது.
- பசுமை சூழல் மற்றும் தூய்மையான காற்று, சிறந்த சாலை இணைப்பு, அருகில் வீடுகள் மற்றும் குடியிருப்புகள்
Amenities
- No amenities listed
Specifications
- No specifications listed
1 / 6
